- Drienovská Nová Ves
Nádherný STAVEBNÝ pozemok v centre obce Drienovská Nová Ves
Predaj, Drienovská Nová Ves
| Ulica: | Nováčany |
|---|---|
| Obec: | Nováčany |
| Okres: | Košice - okolie |
| Kraj: | Košický kraj |
| Druh: | Pozemky |
| Typ: | Predaj |
| Typ pozemku: | Pozemok pre rodinné domy |
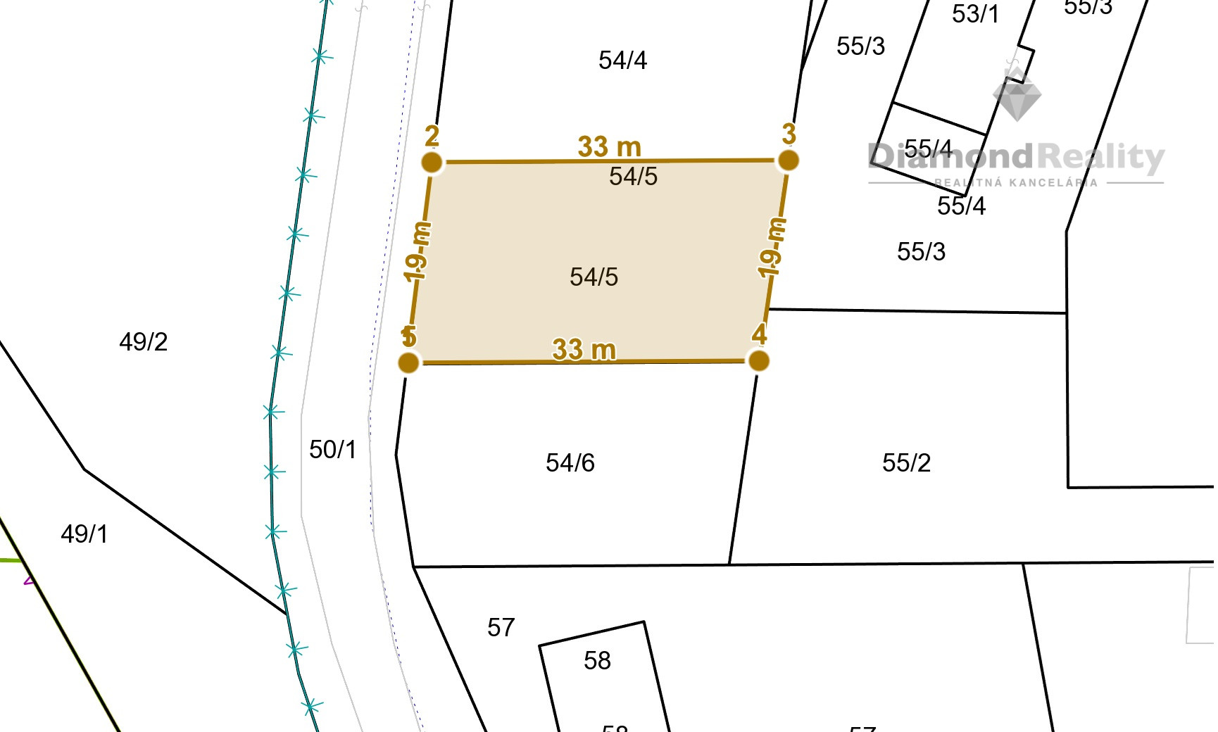
Ponúkam na predaj veľmi pekný a rovinatý stavebný pozemok o výmere 621 m² v obci Nováčany, vhodný na výstavbu rodinného domu. Pozemok má priamy prístup z obecnej cesty a nachádza sa v tichom a pokojnom prostredí, ideálnom na komfortné bývanie. Perfektné rozmery pozemku 19 m × 33 m z neho robia ideálnu voľbu pre výstavbu rodinného domu.
Inžinierske siete – voda, elektrina, plyn a optický internet – sa nachádzajú na hranici pozemku. Kanalizácia v obci nie je, odpad je riešený formou žumpy alebo domovej čističky odpadových vôd.
Obec Nováčany je vzdialená približne 15 km od OC OPTIMA a disponuje výborným autobusovým spojením. Veľkým benefitom je aj blízkosť lesa v pešej dostupnosti približne 5 minút. Pozemok ponúka ideálnu kombináciu pokojného bývania, prírody a rýchlej dostupnosti do mesta. Cena: 113.000 € vrátane provízie pre RK. V prípade otázok kontaktujte Mgr. Lukáš Sopko, MBA, LL.M. na 0902 198 170 | sopko@diamondreality.sk


CEO spoločnosti - Riaditeľ a konateľ Diamond Reality. Maklér pre lokalitu Košice, Prešov a blízke okolie. Realitnú činnosť vykonáva cez franchízového partnera - Diamond Reality CORPORATION, s.r.o., IČO: 50 991 329
V našej firme máme heslo, že "iní ponúkajú nehnuteľnosť, avšak my predávame domov". Týmto heslo sa snažím pristupovať ku každému klientovi a zároveň aj viesť našich maklérov.