- Drienovská Nová Ves
Nádherný STAVEBNÝ pozemok v centre obce Drienovská Nová Ves
Predaj, Drienovská Nová Ves
| Interné ID: | kewgdt8 |
|---|---|
| Ulica: | Kostolianska cesta |
| Obec: | Košice-Sever |
| Okres: | Košice I |
| Kraj: | Košický kraj |
| Druh: | Pozemky |
| Typ: | Predaj |
| Typ pozemku: | Pozemok pre rodinné domy |
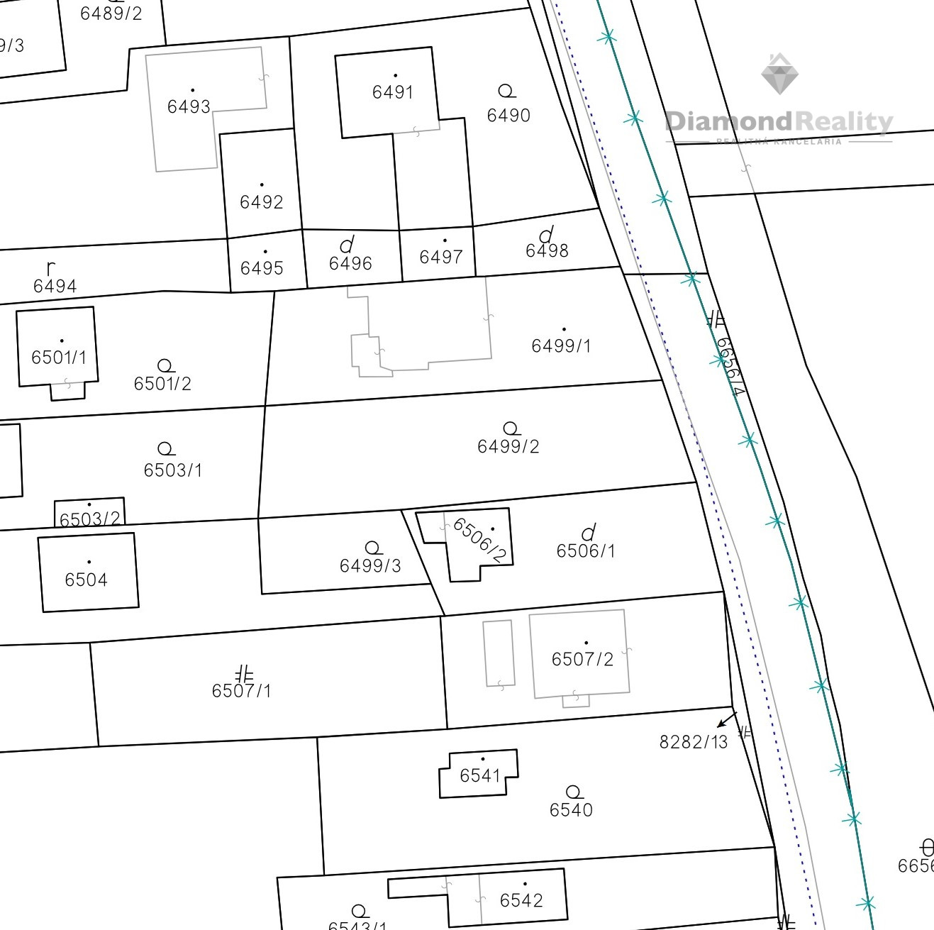
STAVEBNÝ POZEMOK | KOŠICE – SEVER | KOSTOLIANSKA ULICA.
Hľadáte ideálne miesto pre výstavbu rodinného domu v perfektnej lokalite, len na skok od centra mesta? Táto ponuka stojí za pozornosť.
Na predaj rovinatý, oplotený a riadne stavebný pozemok nachádzajúci sa v mestskej časti Košice – Sever. Pozemok má pravidelný tvar, čo ho predurčuje na komfortnú výstavbu rodinného domu. Celková výmera pozemku je 634 m². Rozmery pozemku sú cca 13 m šírka a cca 49 m dĺžka.
Inžinierske siete sú dostupné priamo pri pozemku – elektrina (skrinka na ľavej strane), plyn (skrinka na pravej strane), voda a odpad sa nachádzajú približne 1 až 2 metre od hranice pozemku.
Podľa územnoplánovacej informácie je pozemok určený na plochy bývania v rodinných domoch. Maximálna zastavanosť je 30 %, maximálna podlažnosť 2 nadzemné podlažia, maximálna výška stavby približne 12 m a minimálny podiel zelene je 60 %.
Cena nehnuteľnosti je 199.990 € vrátane provízie realitnej kancelárie a kompletného právneho servisu.
Pre viac informácií alebo dohodnutie obhliadky kontaktujte prosím Mgr. Lukáša Sopka, MBA, LL.M. na telefónnom čísle 0902 198 170 alebo e-mailom na adrese sopko@diamondreality.sk.


CEO spoločnosti - Riaditeľ a konateľ Diamond Reality. Maklér pre lokalitu Košice, Prešov a blízke okolie. Realitnú činnosť vykonáva cez franchízového partnera - Diamond Reality CORPORATION, s.r.o., IČO: 50 991 329
V našej firme máme heslo, že "iní ponúkajú nehnuteľnosť, avšak my predávame domov". Týmto heslo sa snažím pristupovať ku každému klientovi a zároveň aj viesť našich maklérov.